
HLC are our friendly in-house Mortgage team and are on-hand to help you successfully move house in the most cost-effective way.
They are a representative of the whole mortgage market, therefore can provide you with a full overview of the options available.
It’s free to check, so why not give it a try?
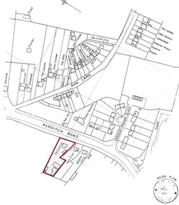
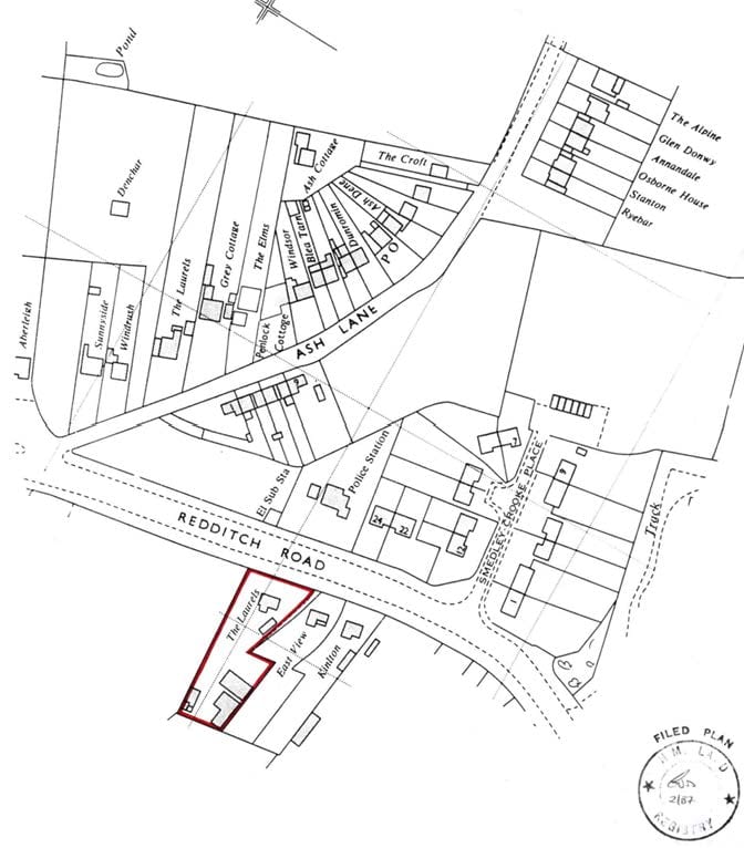
PROPOSED RESIDENTIAL DEVELOPMENT - Between 2 and 4 Dwellings (Permission in Principle) - An exciting opportunity to acquire a development site within the village of Hopwood, Alvechurch, offering permission in principle (PIP) for the construction of between two and four dwelling houses.
The site currently comprises:
- ‘The Laurels’, an origional extended dwelling house
- A converted annexe/stable building, granted planning permission (Ref: 23/01243/FUL) for change of use to an independent dwelling
- A range of domestic outbuildings, a swimming pool, and several substantial permanent structures previously associated with a former owner’s business
Situated within the village envelope of Hopwood and washed over by Green Belt, the site offers flexibility for a small residential development. Indicative plans have been prepared to demonstrate potential layouts for between two and four new dwellings, subject to detailed design and reserved matters approval.
Hopwood is a desirable semi-rural village on the outskirts of Alvechurch, offering an ideal balance of countryside charm and excellent connectivity. The nearby village centre provides local shops, pubs, and amenities, while Alvechurch Train Station offers regular services to Birmingham and Redditch. The area benefits from easy access to the M42 (Junction 2) and A441, making it a convenient location for commuters. Surrounding open countryside and nearby walking routes add to the appeal of this attractive development opportunity.
Please speak to the agent for the Planning Portal link and further details regarding the planning permissions and supporting documents.
